Działka rekreacyjna Sprzedaż: Kopań
Nr oferty 0207826
Id oferty podstawowy
Rynek Wtórny
Typ transakcji Sprzedaż
Miejscowość Kopań
Ulica Kopań
Piętro / Ilość pięter 0 / 0
Garaż
Balkon (Brak informacji)
Rok budowy
Powierzchnia 3924.00
Liczba pokoi 0
Stan techniczny
Piwnica ---
Typ budynku

Opiekun oferty:

Agnieszka Jantoszak
+48 606 209 208
biuro@inicio.nieruchomosci.pl
Cena 470 000 PLN
Powierzchnia 3924.00 m2

Opis:

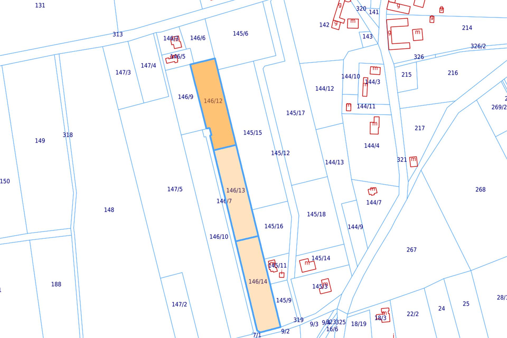
Na sprzedaż działka niezabudowana o pow. 3924 m2, położona w nadmorskiej miejscowości Kopań k. Darłowa, ok. 1,2 km od jeziora.

Malownicza miejscowość wczasowo - letniskowa nad jeziorem Kopań, w odległości ok. 2 km od morza.

Działka w bezpośrednim sąsiedztwie nieruchomości zabudowanych budynkami mieszkalnymi.

W aktualnym planie zagospodarowania przestrzennego działka oznaczona jako tereny rolne.
Kształt działki prostokątny o wymiarach : ok. 33 x 119 m.
Klasyfikacja użytków : Ł IV i R IIIb.

 
Media: energia i wodociąg - na terenie sąsiednich nieruchomości.
Udział w drodze wewnętrznej dojazdowej - w cenie działki.

Odległość do Darłowa 5 km, do Ustki 38 km.
 

Możliwość kupna dwóch sąsiednich działek o pow. po 0,3924 ha.